Spryskaj rośliny. Tarczniki nawet się nie zbliżą

Tarczniki sieją w ogrodach prawdziwe spustoszenie. Niestety często zbyt późno orientujemy się, że żerują na naszych roślinach. Jak temu zapobiec? Wystarczy znać prosty sposób.

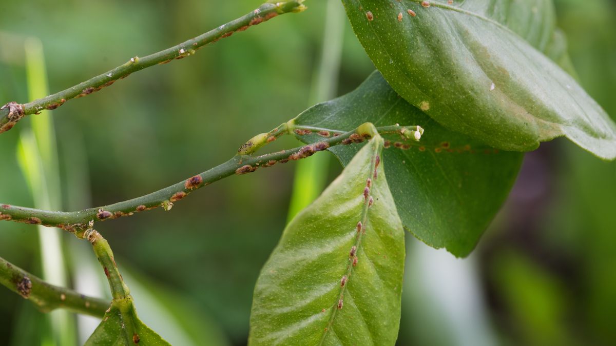
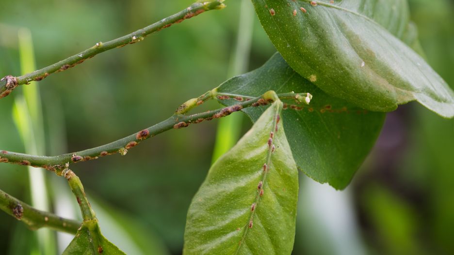
Domowe sposoby na tarcznikiDomowe sposoby na tarczniki
Źródło zdjęć: © Adobe Stock
Paulina Żmudzińska

Tarczniki to małe owady, które mogą stać się ogromnym problemem dla każdego miłośnika roślin. Choć na pierwszy rzut oka mogą wydawać się niezbyt groźne, w rzeczywistości stanowią nie lada zagrożenie. Na szczęście wiemy, jak się ich skutecznie pozbyć.

Tarczniki prawdziwą zmorą ogrodników

Tarczniki wysysają soki z roślin, co nie tylko może powodować ich osłabienie, ale również obumieranie. Właśnie dlatego tak ważne jest, aby umieć je rozpoznawać. Tylko wtedy możemy skutecznie przystąpić do działania, dzięki czemu uchronimy swoje uprawy.

Dalsza część artykułu pod materiałem wideo

Inwazja owadów w Lublinie. Nagrał, co dzieje się na tarasie

Rozpoznanie tarczników może wydawać się bardzo trudne. Jeśli jednak wiemy, na co zwrócić uwagę, wystarczy chwila, by przekonać się, czy nasze rośliny są przez nie atakowane.

Owady te najczęściej zadomawiają się na spodniej stronie liści, na których z czasem pojawiają się żółte plamki. To właśnie tam tworzą się również charakterystyczne, tarczkowate osłonki.

Warto również zwrócić uwagę na lepką substancję, którą wydzielają tarczniki. Nie każdy wie, że to tzw. spadź, która w dodatku może przyciągać inne szkodniki i sprzyjać rozwojowi chorób grzybowych.

Domowe sposoby na tarczniki

Istnieje wiele skutecznych trików, dzięki którym w mig uporamy się z tarcznikami. W dodatku potrzebne do tego produkty większość z nas znajdzie we własnej kuchni. Można m.in. przygotować domowy oprysk z 20 ml oleju, 2 l wody oraz 4 kropli płynu do mycia naczyń. Warto jednak pamiętać o tym, by zabieg regularnie powtarzać.

Do walki z tarcznikami sprawdzi się również wywar z 5 ząbków czosnku, które należy zgnieść i zalać 1 l wody. Po upływie doby wystarczy już tylko przelać do butelki z atomizerem wyłącznie powstały płyn, a następnie spryskać nim rośliny.

Zapraszamy do dołączenia do grupy na FB - #Samodbałość. Tam na bieżąco informujemy o wywiadach i nowych historiach. Dołącz do nas i zaproś znajomych. Czekamy na was!

Masz newsa, zdjęcie lub filmik? Prześlij je przez dziejesie.wp.pl

© Materiały WP
Wybrane dla Ciebie
Jak brak seksu działa na organizm? Lekarka mówi wprost
Jak brak seksu działa na organizm? Lekarka mówi wprost
"Nie jestem spolegliwa". Krystyna Prońko szczerze o trudnym charakterze
"Nie jestem spolegliwa". Krystyna Prońko szczerze o trudnym charakterze
25 lat temu była gwiazdą. Tak dziś wygląda 50-letnia Tara Reid
25 lat temu była gwiazdą. Tak dziś wygląda 50-letnia Tara Reid
Winona Ryder zapozowała z ukochanym na premierze. "Myślał, że jestem Millą Jovovich"
Winona Ryder zapozowała z ukochanym na premierze. "Myślał, że jestem Millą Jovovich"
Marta Nawrocka w Notre-Dame. Tak stylistka ocenia jej stylizację
Marta Nawrocka w Notre-Dame. Tak stylistka ocenia jej stylizację
"Królowa pieczarek" w koronkowej mini. Od Boś nie sposób oderwać wzroku
"Królowa pieczarek" w koronkowej mini. Od Boś nie sposób oderwać wzroku
Pisarek pozowała na schodkach. Jej mini spódniczka jest strzałem w dziesiątkę
Pisarek pozowała na schodkach. Jej mini spódniczka jest strzałem w dziesiątkę
Wkrótce biorą ślub. Szydłowska pokazała się w sukniach ślubnych
Wkrótce biorą ślub. Szydłowska pokazała się w sukniach ślubnych
Agata Turkot zagrała w "Domu dobrym". Mówi, co zrobiła po zakończeniu zdjęć
Agata Turkot zagrała w "Domu dobrym". Mówi, co zrobiła po zakończeniu zdjęć
Świadomie zrezygnowali z dzieci. Słowa żony Jana Kociniaka chwytają za serce
Świadomie zrezygnowali z dzieci. Słowa żony Jana Kociniaka chwytają za serce
Włóż do worka w odkurzaczu. Tak zapomnisz o nieprzyjemnym zapachu
Włóż do worka w odkurzaczu. Tak zapomnisz o nieprzyjemnym zapachu
Adrianna z "Rolnika" już tak nie wygląda. Jej nowa fryzura to hit na jesień
Adrianna z "Rolnika" już tak nie wygląda. Jej nowa fryzura to hit na jesień